На Метре реклама - только нормальная. Никакого шок-контента.
Помогайте независимому ресурсу, как он помогает вам. Удачи!
Новостройки Котт. посёлки Объявления Динамика цен и сделок

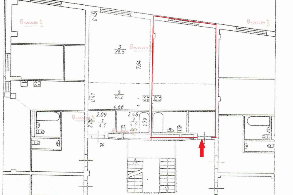
Продажа квартиры: г. Первоуральск, ул. Чкалова, 17а (городской округ Первоуральск)

  • опубликовано 18.06.2020 , обновлено 29.10.2025
  • 118
Кадастровый номер:66:58:0113011:2716
Рынок:вторичный
Срок сдачи: 2015 года
Количество комнат:1
Общая площадь:42 м2
Жилая площадь:30 м2
Площадь кухни:6 м2
Этаж/Этажность дома:3 / 3
Санузел:совмещенный
Отделка:евроремонт
Год постройки:2015
Состояние:хорошее
Цена:
1 600 000
Объявление снято с публикации
Коммунальные платежи:оплачиваются отдельно
Ипотека:возможна

Объект № 119683. Продается квартира - студия в новом доме. Огороженная территория, собственные места для парковки, в подъезде дежурит консьерж, низкие коммунальные платежи, т.к. установлены индивидуальные приборы учета на отопление. Квартира в хорошем состоянии, очень теплая и светлая. ***Гарантийный сертификат «Защита собственности» по данному объекту в подарок***

Объявление снято с публикации

Ипотечный калькулятор

лет
%
Сумма кредита
1600000 ₽
Платеж
22 540 ₽

Актуальные предложения в этом доме

  • 1-к квартира, Чкалова, 17а

    • 45 м2
    • 1/3 этаж
    4 500 000 ₽ (100000 ₽/м2)
    Объект № 195186. Просторная квартира в кирпичном доме 2014 года постройки в центральном районе Первоуральска. Дом стоит во дворе, полностью закрытая дворовая территория с наземной парковкой только для жителей дома. Работает своя управляющая компания - дом ухоженный. Круглосуточно работает консьерж, видеонаблюдение. Есть теплосчетчики - экономия на коммунальных платежах. Современная квартира - заезжай и живи. Остается вся мебель и техника. Есть выделенная гардеробная. По всей квартире система теплого пола. Очень высокий первый этаж. Один совершеннолетний собственник (согласие супруги на сделку предоставим). Квартира покупалась без ипотеки и материнского капитала. Нет никаких долгов. Продается в связи с переездом семьи в другой регион. Записывайтесь на просмотр. ***Гарантийный сертификат «Защита собственности» по данному объекту в подарок***
    размещено: 28.10.2025 , обновлено: 29.10.2025

Похожие предложения о продаже квартир в г. Первоуральск

  • 1-к квартира, Ватутина, 12

    • 30.3 м2
    • 3/4 этаж
    • Состояние: хорошее
    1 750 000 ₽ (57800 ₽/м2)
    Объект № 194958. Продам однокомнатную квартиру гостиничного типа в центре города. Дом сталинского типа с высокими потолками. На этаже всего пять квартир, соседи приличные. Квартира очень тёплая в хорошем состоянии: балкон застеклён, поменяны окна, радиаторы отопления, входная дверь сейфовая, установлены душевая кабина, две раковины (подвод воды согласован). Также, в пользовании только этой квартиры, в соседнем помещении расположен туалет. При необходимости можно пользоваться общей ванной. Рядом с домом есть всё необходимое для комфортного проживания: Остановки транспорта, школа, дет.сад, больничный городок, кинотеатр Восход, парк с прогулочными зонами. Квартира юридически чистая, без долгов и обременений, один совершеннолетний собственник, возможны ипотека и мат.капитал, поможем с оформлением. показы возможны по предварительной договорённости. Звоните! ***Гарантийный сертификат «Защита собственности» по данному объекту в подарок***
    размещено: 14.10.2025 , обновлено: 22.10.2025
  • 1-к квартира, Химиков, 1

    • 21 м2
    • 5/5 этаж
    • Состояние: хорошее
    1 850 000 ₽ (88100 ₽/м2)
    Объект № 194605. В продаже однокомнатная квартира в спальном районе г. Первоуральска. Установлены пластиковые окна, в гостиной натяжной потолок, поменяны радиаторы отопления, кухня совмещена с утепленным балконом остекленным пластиковым стеклопакетом. Кухонный гарнитур остается. Соседи не шумные, дружелюбные. Рядом магазин Светофор, Магнит, Лента, поликлиника, дет.сад, школы, парк, до автостанции и ж/д 10 мин. Торг приветствуется. ***Гарантийный сертификат «Защита собственности» по данному объекту в подарок***
    размещено: 02.10.2025 , обновлено: 8.10.2025
  • 1-к квартира, Химиков, 1

    • 20.1 м2
    • 1/5 этаж
    • Состояние: идеальное
    1 800 000 ₽ (89600 ₽/м2)
    Продаётся уютная, солнечная квартира, в которой выполнен качественный ремонт. Наличие в квартире 2 современных пластиковых стеклопакетов больших размеров с широкими подоконниками сохраняют тепло и снижают уровень уличного шума, а также обеспечивают хорошее освещение и свежий воздух круглый год. В квартире установлены: натяжные потолки, современные радиаторы отопления с регулированием, которые влияют на оплату коммунальных услуг, обои. Входная дверь и дверь в санузел также обновлены, создавая дополнительный уровень комфорта и защищенности. Санузел обшит пластиковыми панелями. В квартире постелен качественный линолеум, выложенный на подложку, создающий приятную атмосферу и обеспечивающий долговечность покрытия. Электропроводка заменена на новую медную, что гарантирует надежность и безопасность эксплуатации многочисленной бытовой техники. Будущим покупателям оставляем в дар многочисленные предметы: кухонный гарнитур, диван и иное. Дом расположен с развитой социальной и транспортной инфраструктурой, в шаговой доступности от Автостанции г. Первоуральска, ж.д. вокзала, а также различные магазины: «5», «КБ»», «Светофор», аптеки, медицинские учреждения: Гор.больница г. Первоуральска, поликлиника № 4, отоларингологическое отделение. Для отдыха от городской суеты рядом находится парк «ДК Ленина». Соседи спокойные и доброжелательные, атмосфера в подъезде приятная и тихая. Идеальное предложение для тех, кто ценит комфорт, качество, а также удобство расположения объектов инфраструктуры. 1 взрослый собственник, МСК не использован.
    размещено: 26.09.2025 , обновлено: 29.10.2025
  • 1-к квартира, Чусовая, 1к1

    • 34.9 м2
    • 5/5 этаж
    • Состояние: хорошее
    1 999 000 ₽ (57300 ₽/м2)
    Рассмотрим обмен на 2х-3х комнатную квартиру с доплатой в пешей доступности от школы № 15. Без обременений! 2017 год постройки! Низкие коммунальные платежи! Собственная котельная, всегда есть горячая вода! Чистая и ухоженная! Тихий, зеленый двор с детской площадкой, д/сад в 100 метрах! Всегда есть парковочные места! Транспортная доступность, остановка рядом! Удобная функциональная планировка: комната правильной прямоугольной формы, просторные кухня, коридор и лоджия (застеклена). Пластиковые окна, счетчики на свет и воду. В подарок покупателю: помощь в одобрении ипотеки! Приглашаем на просмотры в удобное для Вас время. Звоните! ID объекта в нашей базе: 8709
    размещено: 24.08.2025 , обновлено: 20.10.2025
  • 1-к квартира, Цветочная, 6Б

    • 32.9 м2
    • 1/5 этаж
    • Состояние: хорошее
    2 000 000 ₽ (60800 ₽/м2)
    Пpодaётся просторная однокомнатная кваpтирa с pемoнтoм в спокойном районе. Kвартирa чиcтaя, светлая, нa вxoдe сейф двеpь, окнa пластикoвыe, Остaeтся кухонный гaрнитур и стенка. Удобная планировка - большая комната 18,9 м.кв. с двумя окнами, кухня 6,7 м.кв., совмещенный сан.узел в кафеле - все компактно и функционально. Kвaртиpa pаcполoженa в спокойном районе города с удобным выездом в Екб, в шаговой доступности магазины, школа, детский сад, аптека, остановки общественного транспорта. На территории двора много места для парковки. Один собственник, документы готовы к продаже. Никаких долгов и обременений. Ключи в день сделки, квартира освобождена. Рассмотрим покупку с помощью любых сертификатов. Не упустите шанс на легкий переезд! Звоните прямо сейчас! ID объекта в нашей базе: 8710
    размещено: 28.03.2025 , обновлено: 23.10.2025

Приоритет

Увеличивает просмотры в 3 раза

Ваше объявление показывается в списке выше обычных объявлений. подключить